La version française suit
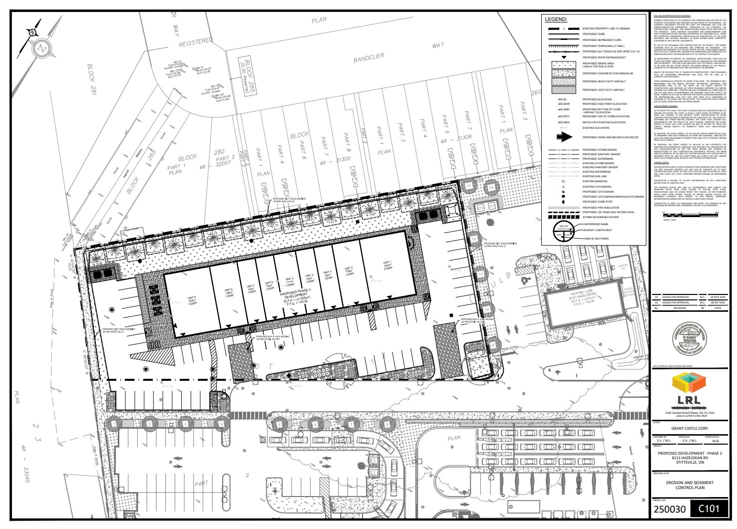
The City of Ottawa has received a Site Plan Control application from Grant Castle Corporation is for a new strip mall at 6111 Hazeldean Road. The site is located on the north side of Hazeldean Road, west of the Hazeldean Road and Stittsville Main Street intersection.
The proposed development is to permit the development of “a multi-tenant, single-storey retail building” as Phase 2 of the existing commercial site on Hazeldean Road, which includes the Halo Car Wash and other businesses. Vehicle access will be from Hazeldean Road, with on-site and barrier-free parking, internal drive aisles, pedestrian connections, and landscaped buffers along property edges. It has a patio space, parking in front of the retail area, as well as plantings along the frontage. The proposal includes nine commercial units, five bike parking spaces, and 60 car parking spaces, as well as four accessible parking spaces.
More information about the proposal is available on the City’s DevApps site…
What is site plan control?
The site plan control process allows the City to influence land development so that it is safe, functional and orderly. It is also used to ensure that the development standards approved by the City and other agencies are implemented and maintained. Building location, landscape treatment, pedestrian access, drainage control and parking layout are a few of the items addressed during review. Please note that issues such as building height or building use (residential versus commercial, ownership versus rental, etc.) are not a part of a site plan review.
What’s next
This application has not been approved. City staff will be reviewing the application to ensure it complies with applicable provincial policy and city policy and by-laws. Councillor Glen will also be reviewing this application with his team.
Note that under Bill 109 enacted by the Provincial government in 2022, City Council no longer has the final say on Site Plan Control approvals. Although councillors can provide feedback and comments, the final decision rests with City staff.
Stay informed and share your feedback
For additional information or to provide your comments contact planner John Bernier at John.Bernier@ottawa.ca. Please quote File No. D07-12-25-0123 in the subject line. You can copy Councillor Glen at glen.gower@ottawa.ca.
Please provide comments by March 6, 2026. Comments received after this date will be accepted and considered, however, may not be reflected in the staff report.
6111, chemin Hazeldean : demande d’approbation d’un plan d’implantation
La Ville d’Ottawa a reçu une demande d’approbation d’un plan d’implantation de Grant Castle Corporation concernant la construction d’un centre commercial linéaire au 6111, chemin Hazeldean. Le site se trouve du côté nord du chemin Hazeldean, à l’ouest de l’intersection avec la rue Stittsville Main.
Le projet consiste à construire un « immeuble d’un étage pouvant accueillir plusieurs commerces de vente aux détail ». Ce serait la phase 2 du site commercial situé sur le chemin Hazeldean, où sont établis le lave-auto Halo et d’autres commerces. L’accès pour les véhicules donnera sur le chemin Hazeldean. Seront aménagés sur le site un parc de stationnement sans obstacle, des allées pour les automobiles, des liens piétonniers et des zones tampons paysagées aux limites de la propriété. Il y aura une terrasse, des espaces de stationnement devant la zone commerciale ainsi que de la végétation le long de la façade. Le projet prévoit 9 unités commerciales, 5 places de stationnement pour vélos et 60 pour automobiles, et 4 places de stationnement accessibles.
On peut obtenir plus d’information sur ce projet en consultant le site DemDam de la Ville.
Qu’est-ce que le processus d’approbation du plan d’implantation?
Ce processus permet à la Ville d’influer sur l’aménagement du territoire pour qu’il soit sécuritaire, fonctionnel et harmonieux. Il sert également à garantir l’application et le respect des normes d’aménagement approuvées par la Ville et d’autres organismes. L’examen porte notamment sur l’emplacement des bâtiments, le traitement paysager, l’accès piétonnier, la régulation du drainage et la disposition des places de stationnement. Il ne porte pas sur les questions relatives à la hauteur ou à l’utilisation du bâtiment (résidentiel ou commercial, propriété ou location, etc.).
Prochaines étapes
Cette demande n’a pas été approuvée. Le personnel de la Ville l’examinera pour s’assurer qu’elle respecte les politiques applicables du gouvernement provincial ainsi que les politiques et les règlements de la Ville. Le conseiller Glen Gower examinera également la demande avec son équipe.
Veuillez noter que selon le projet de loi 109 adopté par la province en 2022, les conseils municipaux n’ont plus le dernier mot sur les plans d’implantation soumis pour approbation. Les conseillères et conseillers peuvent formuler des observations et des commentaires, mais la décision finale revient au personnel municipal.
Restez au courant et faites-nous part de vos commentaires
Pour obtenir plus d’information ou pour fournir vos commentaires, communiquez avec l’urbaniste John Bernier à l’adresse John.Bernier@ottawa.ca, en mentionnant dans l’objet le numéro de dossier D07-12-25-0123. Vous pouvez mettre en copie le conseiller Glen Gower, à l’adresse glen.gower@ottawa.ca.
Vous avez jusqu’au 6 mars 2026 pour nous faire parvenir vos commentaires. Les commentaires reçus après cette date seront acceptés et examinés, mais ne seront pas nécessairement pris en compte dans le rapport du personnel.


